株式会社大吉不動産 広島
お気軽にご相談ください
(営業時間 9:00~18:00 日祝休み)
082-258-4857
ご相談フォーム
LINEでお問合せ
売買物件
HOME
売買物件
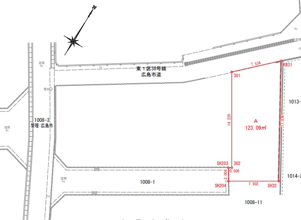
温品4丁目売土地
売買物件
温品4丁目売土地
掲載日:2025.10.01
古い記事
佐伯区坪井2丁目売土地
新しい記事
熊野町新宮中古戸建